






Stavebný pozemok na predaj, 704 m2, Myslava - Na kope
Realitná kancelária VISUAL REAL & FINANCES s.r.o. ponúka na predaj krásny stavebný pozemok v novej developerskej výstavbe, Košice II - Myslava, Na kope.
Pozemok sa nachádza v pokojnej časti obce s dobrou občianskou vybavenosťou a výbornou dostupnosťou do centra.
VIDEOOBHLIADKA:
youtu.be/OuEbIrBeyCQ
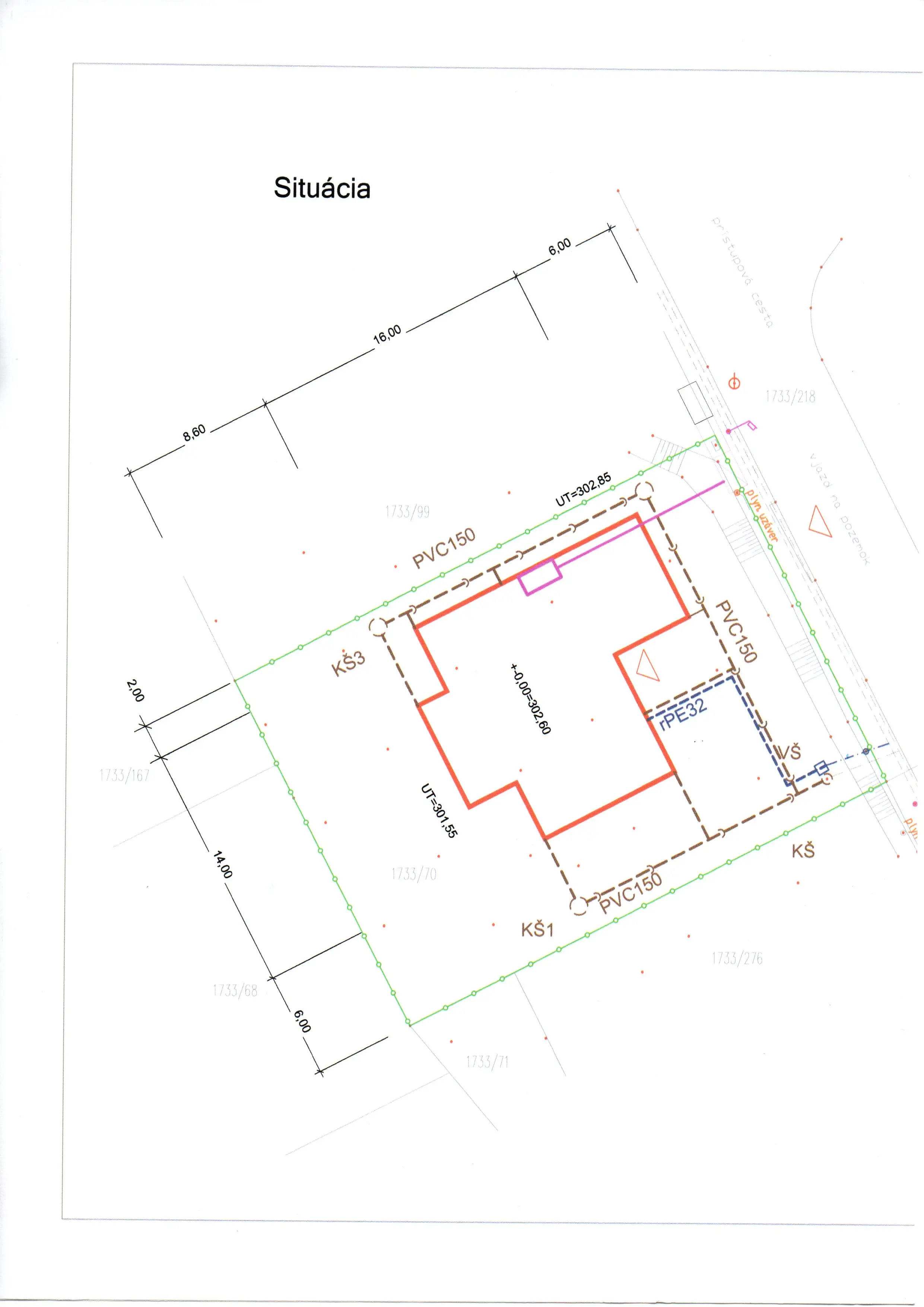
K pozemku bol vypracovaný projekt na výstavbu 2 podlažného rodinného domu s úžitkovou plochou 182,3 m2 a 35,3 m2 garážou. Projekt viete použiť, alebo sa môžete inšpirovať na výstavbu domu podľa vlastných predstáv.
PARAMETRE POZEMKU:
Rozloha: 704 m²
Šírka: 22 m
Dĺžka: 32 m
Orientácia: slnečný západ
INŽINIERSKE SIETE:
Elektrina, plyn, vodovod a kanalizácia sú k dispozícii pri pozemku na prístupovej ceste.
OBČIANSKA VYBAVENOSŤ:
Obchody: FRESH Plus Myslava, Potraviny ILaS
Stravovanie: Koliba, Reštaurácia
Služby: Salón Venere, LAW CARE, Autoservis, Auto-Moto-Mix, Vision plus n.o.
Vzdelávanie: ŽABIATKO JASLIČKY ŠKÔLKA, Materská škôlka, Súkromná ZŠ s MŠ pre žiakov a deti s
autizmom - Autistické centrum Rubikon
Voľný čas: Detské ihrisko, Záhradníctvo - Šolc
Stavebníctvo: Stavebniny
Výhody:
✔ Tichá lokalita s novou zástavbou
✔ Slnečný a prevažne rovinatý pozemok
✔ Kompletné právne poradenstvo v cene
✔ Pomoc s financovaním
Cena je vrátane sprostredkovateľskej provízie, vypracovania ZBZ, kúpnych zmlúv a poplatkov súvisiacich s predajom nehnuteľnosti. Kompletné právne poradenstvo v cene. Pomôžeme vám s financovaním vašej novej nehnuteľnosti.
Ak vás táto ponuka zaujala, neváhajte nás kontaktovať.
Váš realitný maklér:
Ing. Martin Seman
t.č. 0948 863 836.
Pri pozemku - 380 V
Zavrieť















